Service Guide

Get Ants Extermination Service

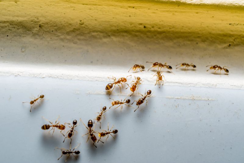
Local contractors offer ant extermination services to eliminate infestations and protect properties from damage caused by ants.

Ants extermination services are an important consideration for property owners dealing with persistent ant issues. Whether you're managing a residential property or a commercial space, understanding your options for effective ant control can help prevent damage and maintain a comfortable environment. Local contractors specializing in pest management can provide tailored solutions designed to address the specific needs of your property, ensuring the problem is handled efficiently and thoroughly.

Exploring different service providers in the area allows property owners to compare approaches and find the right support for their ant control needs. Planning a pest management project involves assessing the most suitable methods and selecting experienced professionals who can deliver reliable results. Keep reading to learn more about how local service providers can assist with ant extermination and help you protect your property.

Get Ants Extermination Service Quotes

  • Ants Extermination - needed when ants invade kitchens or other indoor spaces.
  • Ants Control - required for homeowners experiencing persistent ant colonies outdoors.
  • Ants Pest Removal - necessary when ant trails or nests are found on the property.
  • Ants Eradication - sought after when ant infestations threaten to spread within the home.
  • Ants Infestation Treatment - appropriate for addressing large or ongoing ant problems.
Ants Extermination Service
Ants Extermination Service
Ants Extermination Service

Ants extermination services involve the identification and removal of ant colonies that have invaded a property. Professional service providers typically conduct a thorough inspection to locate nests and entry points. Treatments may include targeted baiting, perimeter barriers, and spot applications of insecticides designed to eliminate ants at their source. This comprehensive approach helps ensure that the infestation is effectively addressed, preventing ants from returning and causing further issues.

Ant problems often manifest as visible trails of ants inside or around a home, especially near food sources, sinks, or entry points. These pests can quickly become a nuisance, particularly in kitchens, pantries, or dining areas. Ants can also cause damage to property by nesting in wood structures or electrical wiring. Exterminators help solve these problems by not only removing current colonies but also implementing preventative measures to reduce the likelihood of future invasions.

Property types that frequently utilize ants extermination services include single-family homes, apartment complexes, and commercial buildings such as restaurants or retail stores. Homes with easy access points or nearby outdoor landscaping are more prone to ant invasions, making professional treatment essential for effective control. Commercial properties, especially those that handle food or have high foot traffic, often require regular inspections and targeted treatments to maintain a pest-free environment.

Homeowners typically seek ants extermination services when they notice persistent ant activity that disrupts daily life or poses a health concern. Signs such as visible trails, nests in walls or gardens, or ants in food storage areas indicate the need for professional intervention. Local service providers can offer tailored solutions to address these issues promptly, helping to restore comfort and hygiene to residential and commercial spaces alike.

The overview below groups typical Ants Extermination Service projects into broad ranges so you can see how smaller, mid-sized, and larger jobs often compare in your area.

In many markets, a large share of routine jobs stays in the lower and middle ranges, while only a smaller percentage of projects moves into the highest bands when the work is more complex or site conditions are harder than average.

Basic Ant Control - Typical costs for routine ant control services range from $250 to $600 for many smaller jobs around homes or businesses. Many projects fall within this middle range, covering initial treatments and minor infestations.

Wider Infestation Treatments - Larger or more persistent ant problems can cost between $600 and $1,200, especially for extensive or multi-visit treatments. Fewer projects require this level of service, but it’s common for moderate infestations.

Barrier and Preventive Services - Applying preventative barriers or ongoing maintenance programs usually costs from $300 to $800 per season. Many routine preventative services are in this range, with some larger properties or complex needs reaching higher prices.

Full Extermination Projects - Complete ant exterminations for severe or widespread infestations can range from $1,200 to $5,000 or more, depending on the size and complexity of the property. Most projects are in the lower to mid part of this range, with only the largest or most challenging cases reaching the top tier.

Actual totals will depend on details like access to the work area, the scope of the project, and the materials selected, so use these as general starting points rather than exact figures.

Get a Quote

Pest Control for Food Storage Areas - Local contractors experienced in pest control can handle infestations in food storage facilities, applying techniques similar to ant extermination to eliminate pests effectively.

Termite Treatment Services - Professionals who specialize in termite control use planning, tools, and methods comparable to ant extermination to protect structures from wood-damaging insects.

Rodent Removal Projects - Removing rodents involves similar planning and pest management skills as ant control, with local service providers utilizing traps and baiting systems.

Bed Bug Eradication Services - Bed bug treatments require detailed inspections and targeted applications, akin to ant extermination procedures, offered by local pest control experts.

Spider and Insect Barrier Treatments - Installing barriers and applying residual treatments for spiders and insects shares techniques with ant extermination, handled by local pest control specialists.

Wildlife Exclusion and Removal - Excluding and removing nuisance wildlife involves planning and use of specialized tools similar to those used in ant control to prevent future infestations.

Ants Extermination Service

When comparing service providers for ant extermination, it’s important to consider their experience with similar projects. Homeowners should look for local contractors who have a proven track record of handling ant control in environments comparable to their own homes. An experienced professional will understand the common challenges associated with ant infestations and be better equipped to recommend effective solutions. Asking about the types of ant issues they’ve successfully addressed can help gauge their familiarity with the specific pests and conditions present in the area.

Clear, written expectations are essential when evaluating potential service providers. Homeowners should seek detailed descriptions of the services offered, including the scope of work, methods used, and any follow-up procedures. Having this information in writing helps ensure that both parties are aligned on what will be done and prevents misunderstandings. It’s also helpful to inquire about warranties or guarantees, so expectations around results are transparent from the outset.

Reputable references and good communication are key factors in choosing a reliable contractor. Local service providers with positive references and reviews from previous clients can offer insights into their professionalism and quality of work. Additionally, a contractor who communicates clearly and promptly can make the process smoother and more transparent. While the site introduces homeowners to local options, it’s important to verify that each potential contractor maintains these standards, ensuring a confident decision when selecting a professional for ant extermination services.

Get an Ants Extermination Service Quote

Property owners use Ants Extermination Service services for practical projects around their homes and businesses. This guide focuses on everyday jobs and straightforward project options.

Ants Extermination Service
Ants Extermination Service

Ants can become a common nuisance for property owners dealing with everyday issues such as spilled food, crumbs left on counters, or outdoor debris attracting these insects. When ants invade kitchens, dining areas, or storage spaces, many seek the assistance of local contractors experienced in ant extermination to effectively eliminate the problem and prevent future infestations. These service providers are often called upon to address sudden invasions or ongoing ant activity that disrupts the comfort and cleanliness of a home or business.

Property owners might also look for ant extermination services when noticing increased activity around foundations, outdoor patios, or garden beds. Such signs can indicate an ant colony nearby, prompting the need for professional intervention to safeguard the property. Local contractors specializing in pest control can provide tailored solutions to manage ant populations, helping to maintain a pest-free environment and reduce the risk of damage or contamination caused by these persistent insects.

Get an Ants Extermination Service Quote

What are common signs of an ant infestation? Signs include visible trails, ant activity near food sources, and small piles of debris or dirt mounds around the property.

How do local contractors typically eliminate ants? They often use targeted treatments such as bait stations, residual sprays, or barriers to effectively control ant populations.

Are there specific types of ants that are more challenging to remove? Yes, certain species like carpenter ants or fire ants may require specialized treatment methods for effective removal.

Can ant extermination services prevent future infestations? Yes, many service providers offer preventative measures to help reduce the likelihood of ants returning.

What should be done to prepare a property for ant extermination? Clearing clutter, removing food sources, and sealing entry points can help improve the effectiveness of the treatment performed by local contractors.

Identify ant infestation signs - Property owners can recognize early indicators of ants to determine when professional intervention is needed.

Prevent future ant problems - Implementing recommended exclusion and sanitation measures can help maintain a pest-free environment.

Schedule regular pest inspections - Routine assessments by local contractors can catch ant issues before they become severe.

Choose trusted extermination solutions - Connecting with experienced service providers ensures effective treatment tailored to specific property needs.

Ants Extermination Service

If you are thinking about Ants Extermination Service for a property, this guide is meant to help you understand the work, the typical project types, and how different options might fit your plans.

When you are ready, you can use the quote form on this page to share a few details about your project. From there, local pros can review the basics and respond with options that match what you have in mind.

Get a Quote

Ants Extermination Quotes

Our Trusted Partners
Benzel Pest Control
Orkin
Cleveland Chemical Pest Control Service